气温回升,春意盎然,
花开烂漫的季节,
复苏的昆虫们,
也开始四处觅食了!

有一种虫虫,
春秋季是它最爱的季节,
几乎所有的植物上,
都有它寄生的身影,
所到之处叶枯花萎……

它,就是蚜虫!!!
我们该如何对付蚜虫呢?
高新园林来给你支招啦!



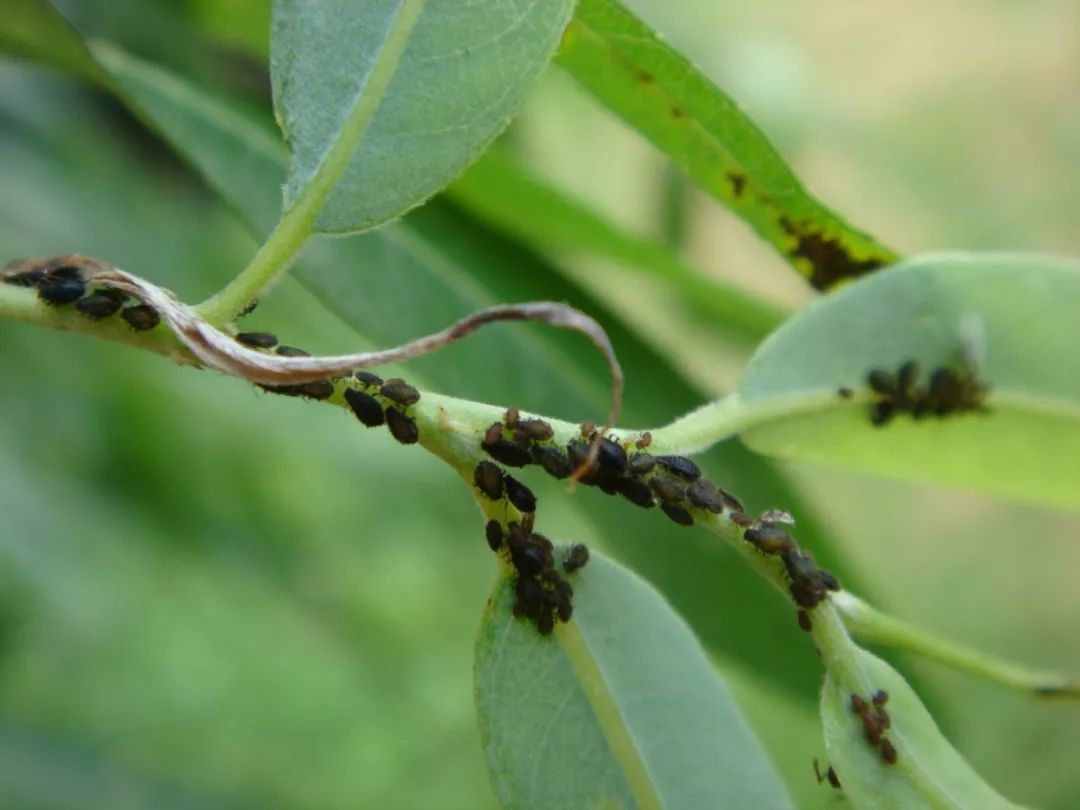
蚜虫,繁殖最快的昆虫,又称腻虫、蜜虫,一般在春秋季爆发,夏季炎热的时候销声匿迹。它们以刺吸式口器从植物的嫩叶上吸取汁液,而且寄主广泛,是园林植物重要害虫。

胖胖的蚜虫种类很多,赤橙黄绿黑,什么颜色都有,头顶和屁股各有一对大犄角(触角和尾管),到春天就非常慵懒惬意的赤裸着身体趴在植物的嫩尖上,吮吸着植物鲜美的汁液。常见蚜虫种类包括夹竹桃蚜、柳黑毛蚜、榆四脉绵蚜、竹茎扁蚜等。

夹竹桃蚜

柳黑毛蚜

榆四脉绵蚜

竹茎扁蚜

当虫口密度小的时候一般不会对植物造成影响的,但由于蚜虫会一边进食一边分泌代谢产物——蜜露,所以在虫口密度大的时候植物叶片会被这种蜜露覆盖,并且在蜜露上会滋生黑霉菌,进而感染植物,造成植物病害,甚至死亡。


根据蚜虫在植物体上产卵越冬的习性,可在入冬时及时清理植物残体,这样可有效降低蚜虫越冬基数,降低来年的发生量。

施用氮肥过多也会导致蚜虫的爆发,所以春季施用氮肥时应遵循“少量多次”的原则。

利用蚜虫的天敌控制蚜虫数量,蚜虫的天敌非常多,瓢虫、草蛉、食蚜蝇、寄生蜂等都以蚜虫为食。

如果蚜虫发生严重,可选用10%吡虫啉、5%啶虫脒或1.2%烟参碱等低毒、高效的无公害农药进行喷雾防治。

掌握了以上这些方法,
对付蚜虫就容易多了。
让我们一起动手,
呵护花花草草的健康吧!


